Friday, 3 October 2008

Munda

Oh hi! On Munda we stayed at Agnes Lodge...and had a strange affair of a bungalow, a bit like a caravan and decorated in the 'our Nan' era, but on the plus side it had an actual bed and was insect free.

On our first full day the heavens opened and it rained down huge and heavy droplets and created a humidity haze. We thought it was never going to end, so decided to fully DEET ourselves up anyway and visit the WW2 US dump site that was just down the road.

The long pendulum flower of the cut-nut tree.


Our walk took us into the next village along the remnants of a sunken concrete road, that was also left over from the war. We passed some really pretty gardens and tropical flowers and soon noticed that many of them contained heavy-duty mounted guns that had been hoofed into people gardens and incorporated into the wild orchid displays...it was quite a sight.

We got a bit lost along the way looking for the village Kia, and could not see anyone around due to the rain that was still going strong. Eventually though we found Lena, a local teenager who offered to show us around. This was just as well, because all the machinery that had been piled up and dumped was under 60 years worth of vegetation and was barely recognisable from the track.


Apparently what we were looking at was the wreckage of landing craft, barges and other heavy equipment that was upended and stacked in a massive pile by the US soldiers before they left. According to Tusker the locals had unearthed some of the guns, restored them and a quantity of ammunition to working order and had hidden these from the authorities.


The Japanese has over 20 anti-aircraft guns (what we saw in the gardens) at Rendova Harbour until the US marines captured the harbour in 1943 and used it as a base themselves. There were several 'good will gifts' from the Japanese at the airport and in Honiara too.




Wiji with his DEET streaked legs.








Some of the massive piles of metal...


Lena shows us around...


The buttress roots had incorporated the metal into them.




There were areas that you could walk into, with great cavernous shells of metal.


On the way back we saw some evidence of the Betel nut that lots of people were chewing in Honiara and Gizo. These are the discarded outer shells. The main evidence of this in Honiara was the massive red splatters on the pavements where the juice had been spat out.


Saveloy?


The road back...


Some make-shift bee hives.


The next day it was back to bright sunshine again and we had secured a place with Jen of Dive Munda on the dive boat and made a return visit to Zipolo Habu...this really confused Joe, but after some explanation he was practically offering us a free bar. It was great to be back! We had to hang around for the Aussie family who were doing a PADI certificate with Jen so we did a bit of snorkelling off the jetty and scared off all the reef sharks...oh well.

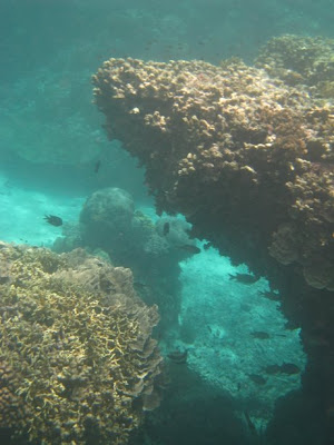
Munda is a world class dive site with plenty of unspoilt coral reefs. Gizo, though not far away was hit by a tsunami from the 2005 earthquake that damaged a lot of the coral reef's.

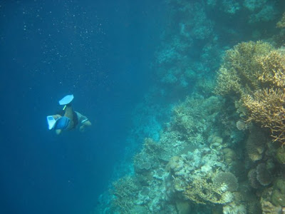
Snorkelling the drop off, Wiji gets straight to it at the first site we went to called Eagles Nest.






















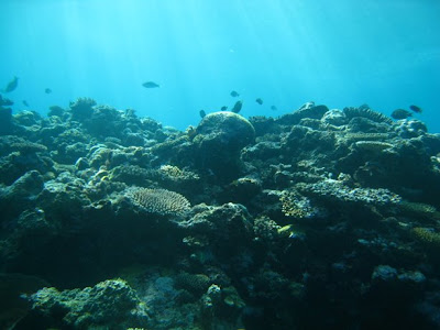
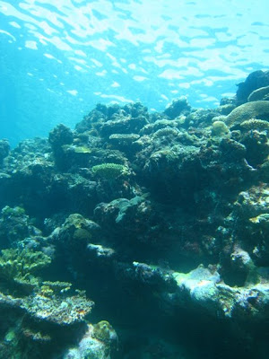
The waters were incredible and really were teeming with fish...










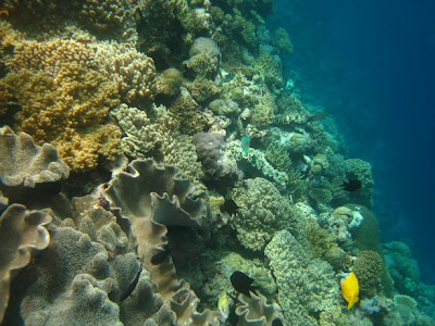
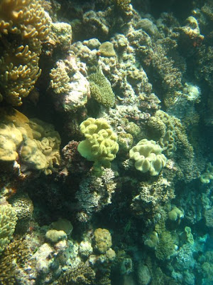
Huge soft coral's...




And hard coral's...


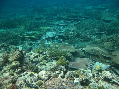
The flat coral's are imaginatively called plate coral.














Wiji takes a few shots looking back up...






Anemone fish.












The shaft's of light cutting through the water were stunning. The visibility was incredible too.






More anemone fish.








Another clam, we were still mesmerised by them.


How gorgeous is this clam, set into a ball of hard coral?!


It kept sucking its lips in as Wiji swam down to get a piccy. Lol.




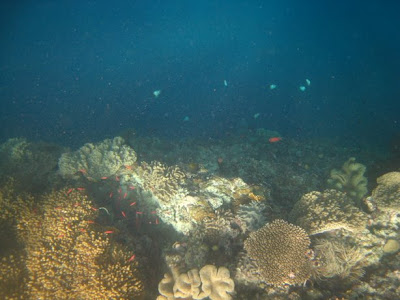
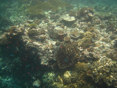
So many fish...




















Snorkelling the drop of at this next site was spectacular.






Oh hi!










The after snorkelling a couple of sites we stopped at an island for a picnic.




Then onto the next site called 'top shelf' for the afternoon.








It the reef was just a massive shelf of so many kinds of coral and fish.




A massive puffer fish.












'Oooh what are you doing?'




It was here that we made startled a black tipped reef shark and it swam off in a hurry! Later Wiji caught sight of another one and swam after it taking a video.


Jeffrey, our drunken boat driver liked the bar at Zipolo Habu a bit too much.


Then heading home surprisingly not too crispy fried from a full on day in the Solomon sunshine.




The next day we could hear the passionate preaching from the deck at Agnes Lodge...




And outside Agnes Lodge they had hooked up a PA and were blasting out some tunes to go with the service...


The local market. I loved the group of children under the umbrella's.


And soon enough it was time to catch the plane back to Honiara. We managed to get the seats behind the pilot again so that Wiji could watch the plane being flown, practically from the pilots lap!


One last look at the island in the sky...


Way down in the clouds as it started to rain we saw a rainbow.

No comments: